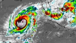
Residentes de la comunidad El Guayabo, a pocos kilómetros de la ciudad de Pinar del Rio, no han sentido la intensidad del huracán Milton, cuya trayectoria se encuentra en mares próximos al occidente de Cuba, dijo a Martí Noticias la activista Daudi Hermelo quien allí reside.
En el Guayabo, Pinar del Río, no han sentido los embates de Milton
Foro